Raymarine Collaborates with SEABED 2030 Project

Raymarine Collaborates with SEABED 2030 Project

Sonar Data Contribution to Advance Global Seafloor Mapping 

Wednesday - 12 November 2025

Fareham UK: Raymarine, a global leader in high-performance marine electronics, recently entered a strategic collaboration with The Nippon Foundation and GEBCO in support of the Seabed 2030 project – an ambitious global initiative to map 100% of the world’s ocean floor by the year 2030. Raymarine and announced the collaboration at the recent Ocean Floor Explore symposium hosted by Map the Gaps and COAST. Ocean Floor Explore brings together industry, technology and philanthropy to promote cross sector collaboration to overcome the obstacles of deep ocean discovery.

Launched in 2017, Seabed 2030 is a collaborative effort between GEBCO (General Bathymetric Chart of the Oceans) and is an officially endorsed program of the United Nations Decade of Ocean Science for Sustainable Development. The project aims to compile all available bathymetric data into a freely accessible map of the global seafloor, supporting marine conservation, climate modeling, tsunami forecasting, and sustainable ocean resource management.

SeaBed2030

As part of this collaboration, Raymarine is contributing a unique dataset of crowdsourced bathymetric recordings collected from thousands of vessels equipped with Raymarine sonar systems. This data, gathered from real-world usage across the globe, will enhance the resolution and coverage of existing seafloor maps, particularly in under-surveyed coastal and offshore regions.

“We’re proud to support in mission to map the world’s oceans,” said Grégoire Outters, General Manager at Raymarine. “This collaboration reflects our commitment to safer navigation, better science, and a more sustainable future for the maritime industry.”

“Raymarine’s contribution of crowdsourced bathymetric data is a powerful example of how industry can accelerate our understanding of the ocean floor,” said Jamie McMichael-Phillips, Director of the Seabed 2030 Project. “We welcome their support and look forward to the impact this data will have on our global mapping efforts.”

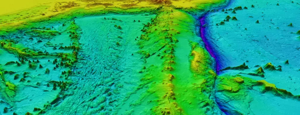
Sample seabed bathymetry from Seabed 2030

The Nippon Foundation, a private philanthropic organization based in Tokyo, has been the principal funder of GEBCO’s capacity-building and mapping initiatives for over two decades. Through its support of Seabed 2030 and the GEBCO-Nippon Foundation Training Program at the University of New Hampshire, it has helped train over 100 ocean mappers from more than 45 countries.

To date, only about 25% of the world’s seafloor has been mapped to modern standards. Seabed 2030 aims to close this gap by 2030 through international collaboration, open data sharing, and innovative partnerships like this one.

For more information on the Seabed 2030 project, visit www.seabed2030.org